Un grupo de pescadores de la zona de Viedma encontró una especie nunca antes vista en el tramo final del río Negro. Se trata del gobio, un pez originario del Pacífico asiático, cuya presencia fue confirmada y analizada por una investigadora del Conicet. Aunque los ejemplares miden entre 5 y 8 centímetros, los científicos aseguran que su aparición puede alterar el delicado equilibrio de la fauna acuática regional.
El hallazgo fue reportado por dos pescadores deportivos, Guillermo Fraile y Jorge Pérez, quienes capturaron los primeros ejemplares en cercanías de la desembocadura del río. Tras notar comportamientos inusuales en las capturas, contactaron a Andrea Tombari, investigadora del Centro de Investigaciones y Transferencia de Río Negro (CIT – UNRN), quien analizó los peces en el Laboratorio de Bioecología y Calidad Ambiental Acuática.
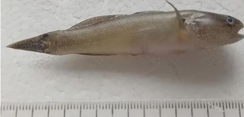
“Presentan bandas longitudinales oscuras, dientes tricúspides y aletas pélvicas unidas”, describió Tombari en su informe científico, publicado por la revista Acta Zoológica Lilloana. Se trata del primer estudio que registra esta especie en un estuario del sur argentino.
El pez exótico podría alterar el ecosistema del río Negro
El gobio (Tridentiger bifasciatus) es una especie invasora que se ha expandido a través del mundo transportada en agua de lastre de barcos mercantes, un fenómeno que también permitió la llegada de organismos como el cangrejo verde o el alga undaria.
Lo preocupante, según Tombari, es su capacidad de adaptación, dieta variada y tolerancia a bajas salinidades, lo que le permite instalarse en ambientes de agua dulce como canales de riego, tal como ya se observó en las chacras del IDEVI.
“Este registro evidencia un incremento preocupante en la invasión de peces exóticos, con consecuencias potencialmente negativas para la biodiversidad regional”, advirtió la investigadora. Además, indicó que esta expansión podría estar relacionada con apariciones previas en zonas cercanas como Pehuen-co, en la costa atlántica.
